Fotos Fotos
Datos Volver
Oportunidad

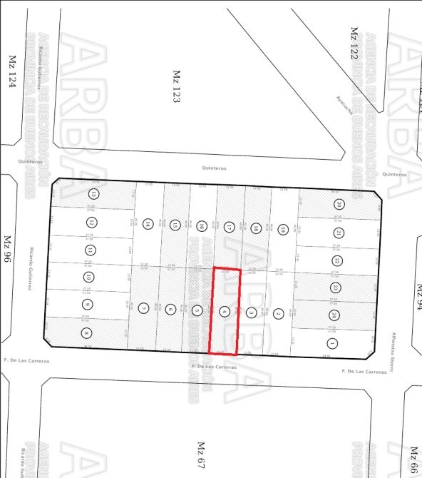
ESPECTACULAR LOTE DE TERRENO - FRANCISCO DE LAS CARRERAS (sobre asfalto) y STORNI -

Location FRANCISO DE LAS CARRERAS y STORNI - Nueva Atlantis

Prev
Prev
Venta
USD 29.500
Propiedad

Lotes / terrenos

Superficie Total

Sup. total 500m2

Orientacion

Orientación Este

Datos Acerca de la propiedad

EXCEPCIONAL LOTE DE TERRENO (ideal todo destino), SOBRE LA CALLE FRANCISCO DE LAS CARRERAS (ASFALTO) ENTRE LAS DE STORNI y DRAGO, A TRES CUADRAS DEL MAR y A SEIS CUADRAS DE LA AVENIDA ROLDAN.- DISPONE DE 12,50 MTS. DE FRENTE (orientando hacia el Este), POR 40 MTS. DE FONDO, LO QUE HACE UNA SUPERFICIE TOTAL DE 500 MTS.-  HERMOSA y AMPLISIMA BAJADA A EXTENSAS PLAYAS.- ZONA DE RESIDENTES.- OFERTA.- CONSULTE.-

Comodidades Comodidades

Ver más vermas

Datos Ubicación

Venta

USD 29.500

Datos Propiedades Relacionadas

Contacto

¿Te interesa esta propiedad?
Contactate ahora

Ver
Chatea con nosotros
Whatsapp